日本遭遇严重台风不只“南玛都”,更有全球史上最强风暴“泰培”

发布时间:2024-09-19

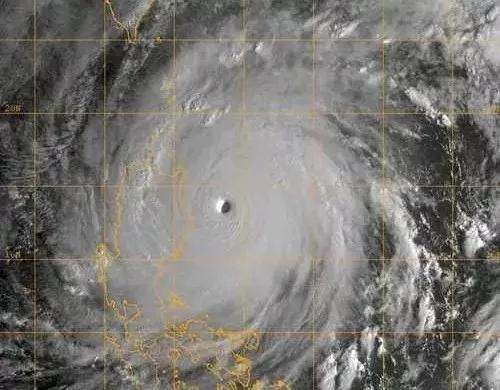
Image

1979年10月,一场名为“泰培”的超级台风席卷日本 ,成为有记录以来全球最强的热带气旋之一。这场台风的中心气压低至870百帕,风速高达305公里/小时,其破坏力之强,至今仍令人谈之色变。

泰培台风给日本带来了灾难性的后果。 据官方统计,这场台风导致172人死亡,152人失踪,149人受伤,超过3000栋房屋被毁,经济损失高达10亿美元(约合今天30亿美元)。然而,令人惊讶的是,泰培造成的伤亡人数远低于预期。这一结果很大程度上归功于日本政府和民众的充分准备和有效应对。

面对泰培的威胁, 日本政府采取了一系列果断措施。 首先,气象部门提前数天发布了预警信息,为民众提供了充足的准备时间。其次,政府迅速启动了应急响应机制,组织了大规模的疏散行动。据报道,超过100万人被紧急疏散到安全地带,这一举措极大地减少了潜在的伤亡人数。

此外,日本的基础设施建设也为抵御泰培台风发挥了重要作用。战后日本在城市规划中注重防灾减灾,建设了大量的防洪堤坝、排水系统和避难所。这些设施在泰培来袭时发挥了关键作用,有效减轻了灾害的影响。

泰培台风过后,日本政府进一步加强了防灾减灾体系建设。 他们建立了更加完善的气象监测网络,提高了预警系统的准确性和时效性。同时,日本还加强了对民众的防灾教育,定期组织防灾演练,提高全民的防灾意识和自救能力。

日本应对泰培台风的经验为全球防灾减灾工作提供了宝贵借鉴。首先,它强调了早期预警和及时疏散的重要性。其次,它展示了基础设施建设在减轻灾害影响中的关键作用。最后,它突显了政府、社区和民众三方协作的重要性。

然而, 随着全球气候变化加剧,极端天气事件发生的频率和强度都在增加。 2022年,日本再次遭遇了严重的台风灾害。尽管如此,日本在防灾减灾方面的持续投入和努力,使其在应对自然灾害时表现出了较强的韧性。

泰培台风的历史告诉我们,面对自然灾害,人类并非无能为力。通过科学的规划、有效的管理和持续的投入,我们可以最大限度地减轻灾害的影响,保护人民生命财产安全。在全球气候变化的大背景下,这一经验显得尤为重要。各国政府和国际社会应当携手合作,共同应对这一全球性挑战,为人类的可持续发展创造更加安全的环境。